综合塑形2015-08-07
◎项目描述
单纯的自体软骨隆鼻受到自身软骨大小、形状的限制,对于鼻梁、鼻尖很难起到兼顾的立体美化。南京华美鼻部整形中心开创的“智能韩国自体鼻中隔移植综合隆鼻”取用自体面积较大、柔韧性适中的自体鼻中隔作为隆鼻材料,能够实现隆鼻时鼻梁到鼻尖同步改善,具备微创小口、手术耗时短、术后恢复快、鼻子俊挺自然等特点。

◎手术方法
1、采用智能机器人五官3D分析设计系统对术后效果进行模拟,并推断手术效果所需自体鼻中隔面积;
2、检测自体鼻中隔量是否满足手术需求;
3 、依据手术设计从鼻内入路取预计量自体鼻中隔,并进行雕刻,以适用于手术方案;
4 、剥离鼻子里边的皮肤和鼻窦的软骨组织,形成填充物植入腔隙;
5 、依据设计效果在剥离出的腔隙中植入雕刻好的自体鼻中隔软骨;
6 、依据设计要求取适量软骨填充鼻尖;
7 、缝合手术切口;
◎适应症
1、鼻梁低平、鼻头低矮,需要综合塑形者;
2、对采用假体隆鼻排异者;
◎优势特点
1、取自体组织,无排异,更安全;
2、软骨组织柔韧性较佳,手感更自然;
3、采用韩国微创隆鼻技术,效果贴近精致自然;
◎注意事项
1、取鼻中隔软骨要适量,需保留鼻背、鼻小柱处各1.5cm宽度鼻中隔;保障鼻部原有形体;
2、术后一周内禁止佩戴有框眼镜,以及做其他挤压鼻部的动作,防止软骨发生移位;
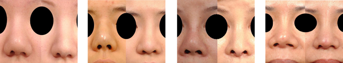
◎对比图





